
Institution: JCPC Jim Cope Collection, San Jose, California, USA now at CSCA, Sacramento Photographer: Larry G. Bezark Determiner: Andreas Weigel Collection Location: Hill Station, Bombilla Dist, Arunachal Pradesh, India 99737
|

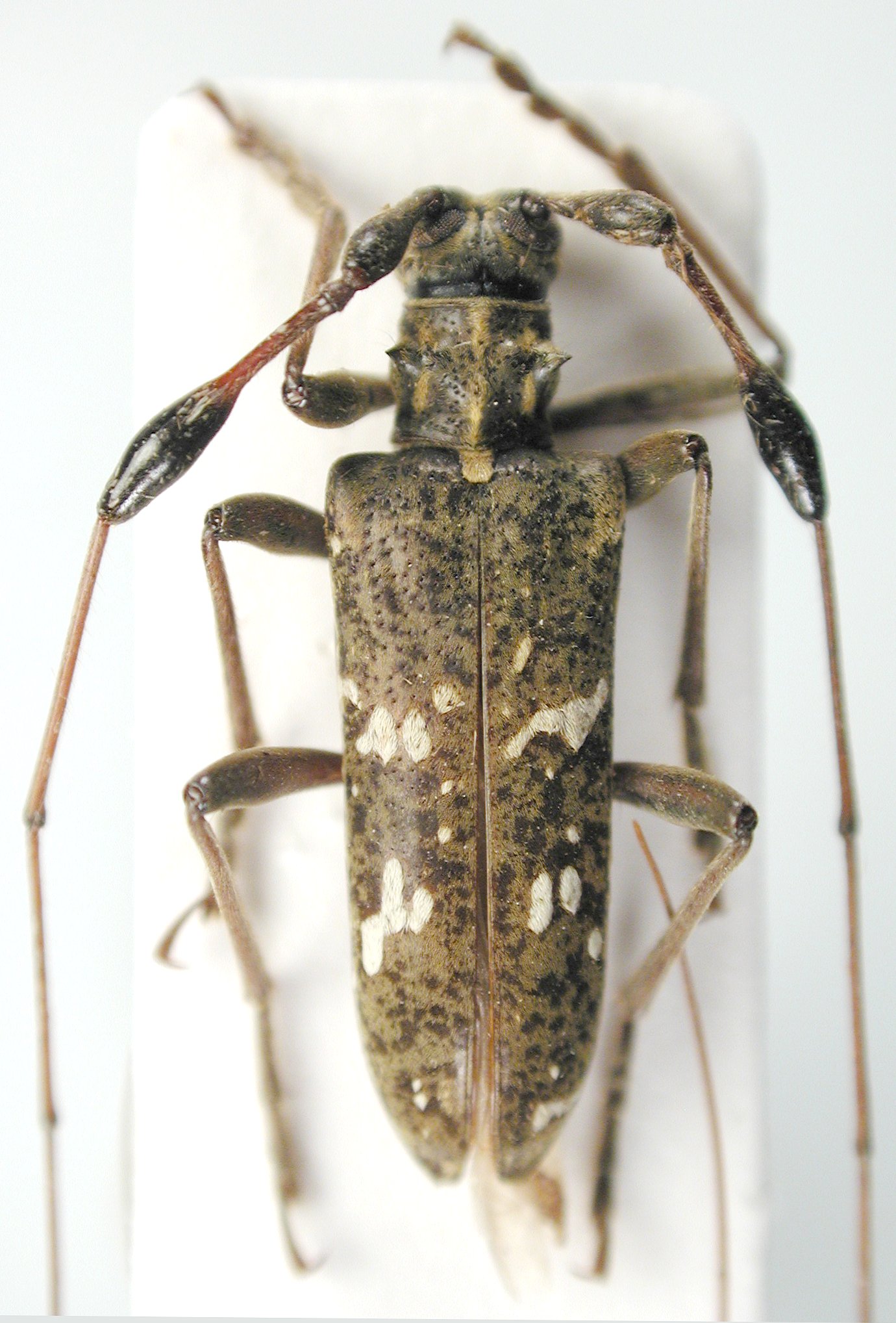
Institution: JCPC Jim Cope Collection, San Jose, California, USA now at CSCA, Sacramento Photographer: Larry G. Bezark Determiner: Andreas Weigel Collection Location: Hill Station, Bombilla Dist, Arunachal Pradesh, India 99738
|

Institution: JCPC Jim Cope Collection, San Jose, California, USA now at CSCA, Sacramento Photographer: Larry G. Bezark Determiner: Andreas Weigel Collection Location: Hill Station, Bombilla Dist, Arunachal Pradesh, India 99739
|
|