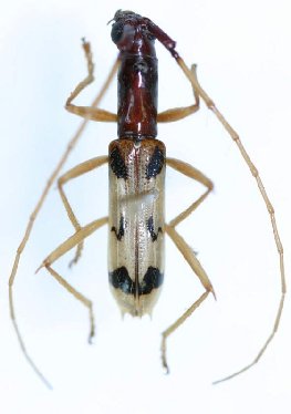
_Bates_BMNH_Santo_Domingo_Chontales_Nic_LGB.jpg)
Specimen Type: lectotype Sex: m Institution: BMNH British Museum Natural History, London, UK Photographer: Larry G. Bezark Collection Location: Santo Domingo, Chontales, Nicaragua 46856
|
_Martins_Aracataca_Colombia_MCZ_=_Hexoplon_albipenne_Bates.jpg)
Hexoplon colombianum Martins Specimen Type: holotype Sex: f Institution: MCZ Museum of Comparative Zoology, Harvard University, Cambridge, MA, USA Collection Location: Aracataca, Magdalena, Colombia 16817
|
_Martins_Aracataca_Colombia_MCZ_=_Hexoplon_albipenne_Bates.jpg)
Hexoplon colombianum Martins Specimen Type: holotype Sex: f Institution: MCZ Museum of Comparative Zoology, Harvard University, Cambridge, MA, USA Collection Location: Aracataca, Magdalena, Colombia 16818
|
_Martins_Aracataca_Colombia_MCZ_=_Hexoplon_albipenne_Bates.jpg)
Hexoplon colombianum Martins Specimen Type: holotype Sex: f Institution: MCZ Museum of Comparative Zoology, Harvard University, Cambridge, MA, USA Collection Location: Aracataca, Magdalena, Colombia 16819
|
_Martins_Aracataca_Colombia_MCZ_=_Hexoplon_albipenne_Bates.jpg)
Hexoplon colombianum Martins Specimen Type: holotype Sex: f Institution: MCZ Museum of Comparative Zoology, Harvard University, Cambridge, MA, USA Collection Location: Aracataca, Magdalena, Colombia 16820
|

Photographer: Steve Lingafelter Collection Location: Nicaragua 25942
|
.jpg)
Institution: FTH Frank T. Hovore collection (now at California Academy of Sciences) Photographer: Larry G. Bezark Collection Location: Santa Rosa, Guanacaste, Costa Rica 28173
|

Institution: FTH Frank T. Hovore collection (now at California Academy of Sciences) Photographer: Larry G. Bezark Collection Location: Bayano, Panama 8404
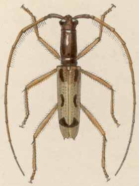
|

Institution: BCA Biologia Centrali Americana 8405
|

Institution: UCD University of California, Davis, California, USA Photographer: Larry G. Bezark Determiner: Hovore 8406
|

Photographer: Larry G. Bezark Collection Location: Barro Colorado Island, Panama 8407
|
|