New Search Family, Subfamily and Tribe List

SubFamily Lamiinae

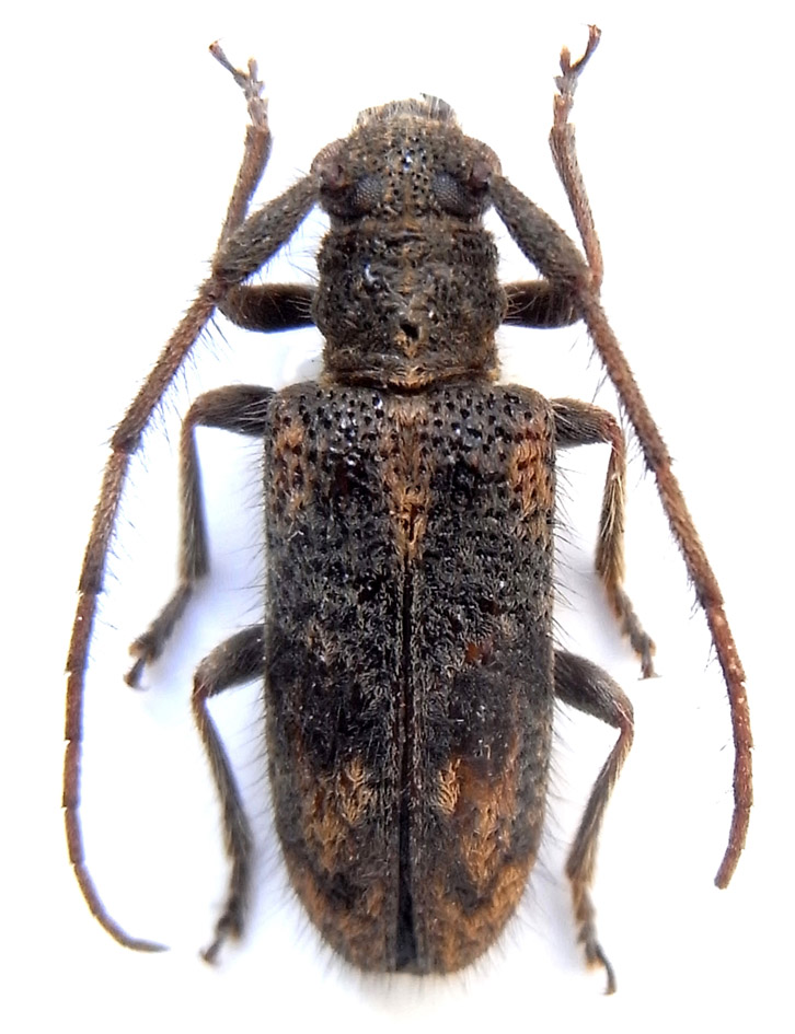
Tribe Desmiphorini
Parasophroniella birmanica Breuning 1943

Parasophronica brunneomaculata Gouverneur
Specimen Type: holotype
Sex: f
Institution: Gouvrneur Collection
Photographer: Xavier Gouverneur, Cerambycoidea Forum
Collection Location: Mount Phou Pan, Houaphan Province, Laos
79732

130425