
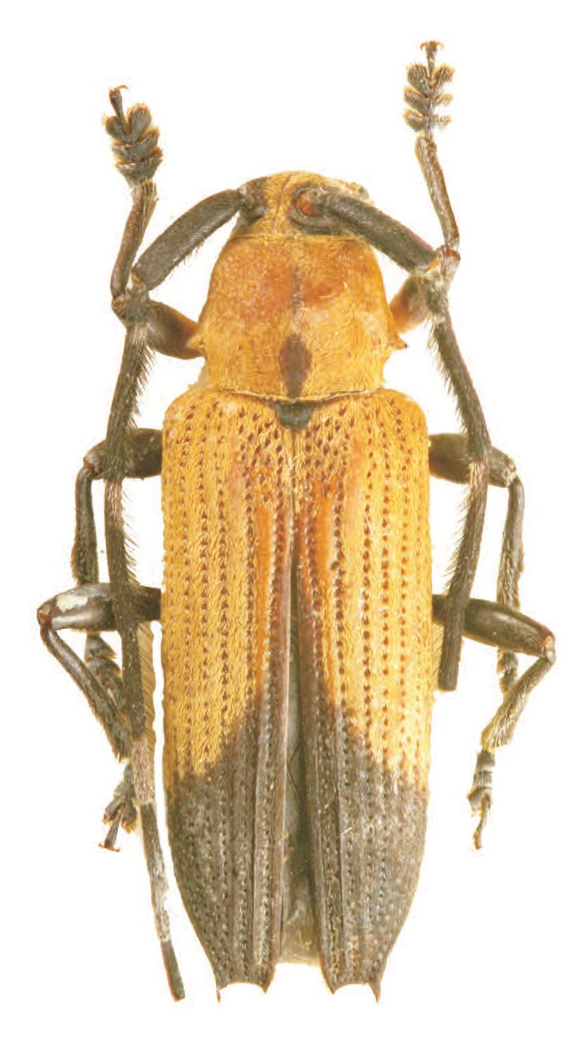
Specimen Type: holotype Institution: BMNH British Museum Natural History, London, UK Determiner: Bio Lib Collection Location: Molucca Islands 55249
|
 Pascoe vic Maldau, Labuha region, Bacan Island, Indonesia Vives coll pic.jpg)
Sex: m Institution: Vives Collection Photographer: Eduard Vives Collection Location: vic Maldau, Labuha region, Bacan Island, Indonesia 96946
|