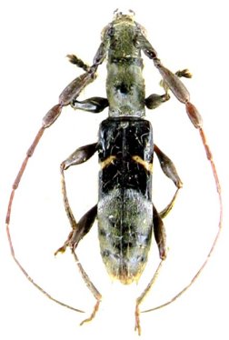
_Bates_MNHN_FTH_=_Hexocycnidolon.jpg)
Octoplon unoculum Bates Specimen Type: holotype Sex: m Institution: MNHN Museum of Natural History Paris, France Collection Location: Rio Tapajós, Para, Brazil 17651
|
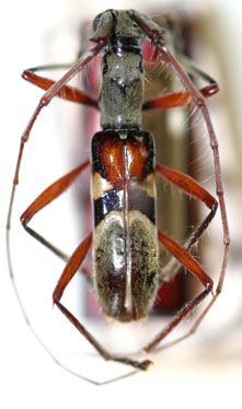
_Martins_MNRJ_SWL_=_Hexocycnidolon_unoculum_(Bates).jpg)
Hexocycnidolon vulcanoi Martins Specimen Type: holotype Sex: m Institution: MNRJ Museu Nacional Universidade do Rio Janeiro, Brazil Photographer: Steve Lingafelter Collection Location: Satipo, Junín (Jauja Province), Peru 8402
|
_Det_Santos-Silva_Brasil_Rondonia_LGB.jpg)
Photographer: Larry G. Bezark Determiner: Santos-Silva Collection Location: Rondonia, Brazil 21978
|
_(Bates)_Det_Santos-Silva_Brasil_Rondonia_LGB.jpg)
Photographer: Larry G. Bezark Determiner: Santos-Silva Collection Location: Rondonia, Brazil 21979
|
_Faure_French_Guiana.jpg)
Photographer: Denis Faure Collection Location: French Guiana 21980
|

Photographer: Jean-Louis Giuglaris Collection Location: Belizon, French Guiana 28817
|