_Gounelle_BMNH_Jatai_Goias_Braz_LGB.jpg)
Specimen Type: syntype Institution: BMNH British Museum Natural History, London, UK Photographer: Larry G. Bezark Collection Location: Jatai, Goias, Brazil 46823
|
_Fisher_Brazil_USNM_SWL_=_Gnomidolon_varians_varians_Gounelle.jpg)
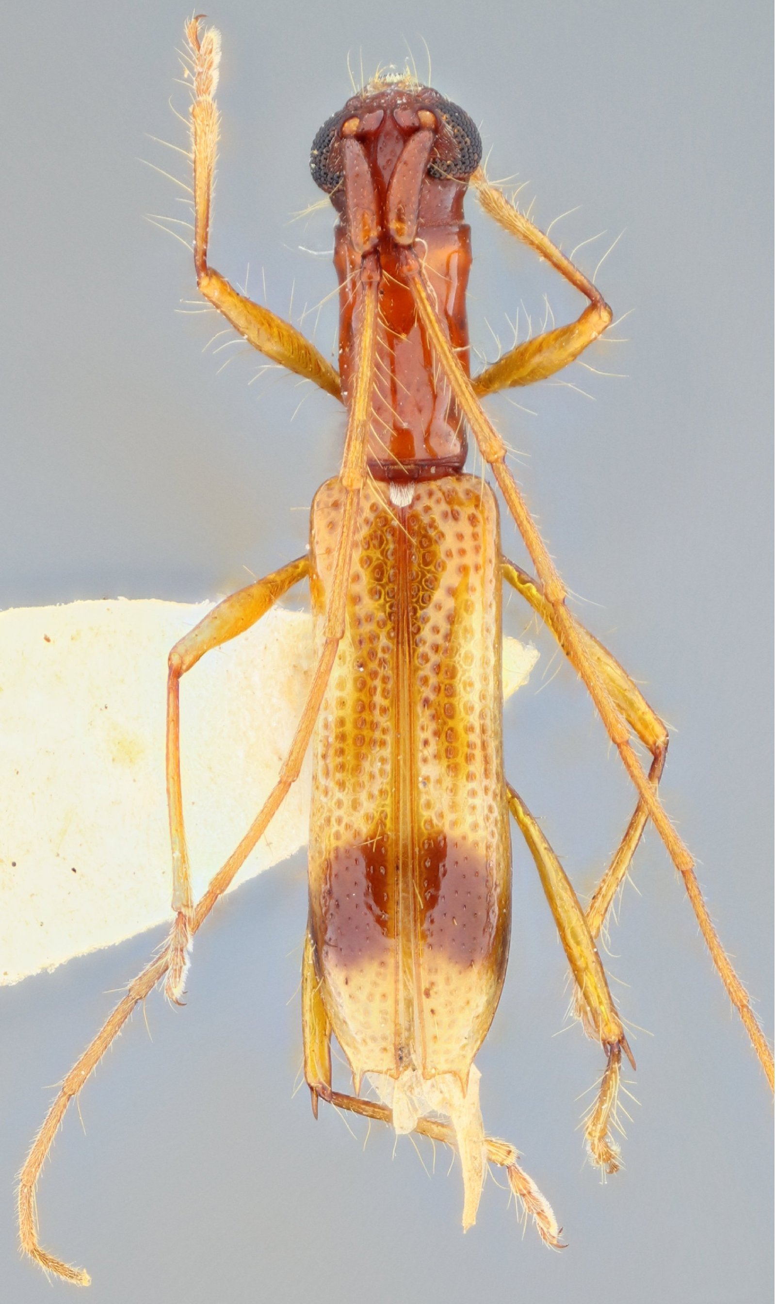
Gnomidolon micans Fisher Specimen Type: holotype Sex: f? Institution: NMNH United States National Museum, Washington, DC, USA Photographer: Steve Lingafelter Collection Location: Nova Teutonia, Santa Catarina, Brazil 8013
|
_Fisher_Brazil_USNM_SWL_=_Gnomidolon_varians_varians_Gounelle.jpg)
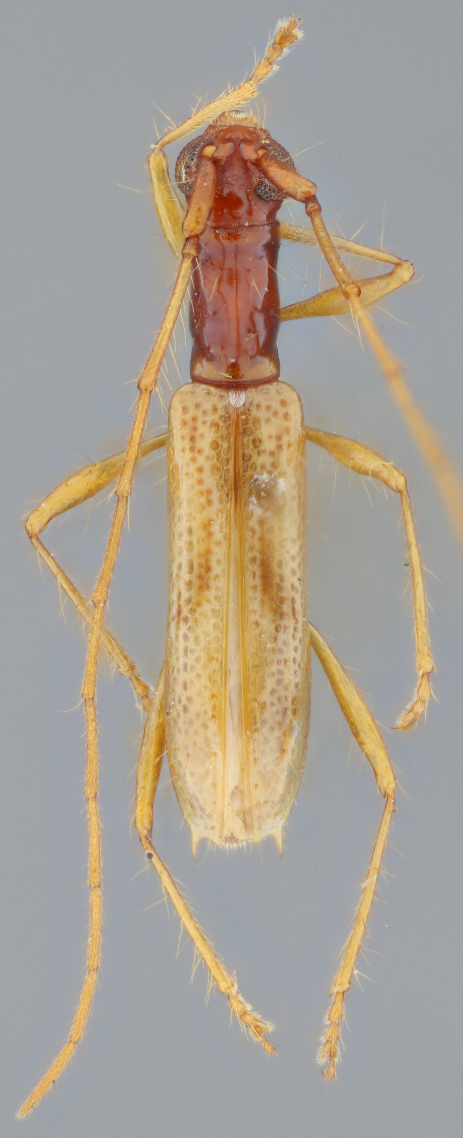
Gnomidolon micans brunneicaudatum Fisher Specimen Type: holotype Sex: m Institution: NMNH United States National Museum, Washington, DC, USA Photographer: Steve Lingafelter Collection Location: Nova Teutonia, Santa Catarina, Brazil 8014
|

Specimen Type: compared with type Photographer: Ole Mehl Collection Location: Department Guaira, Paraguay 36790
|
 Gounelle MZSP Brazil (Santa Catarina, Nova Teutônia) SS.jpg)
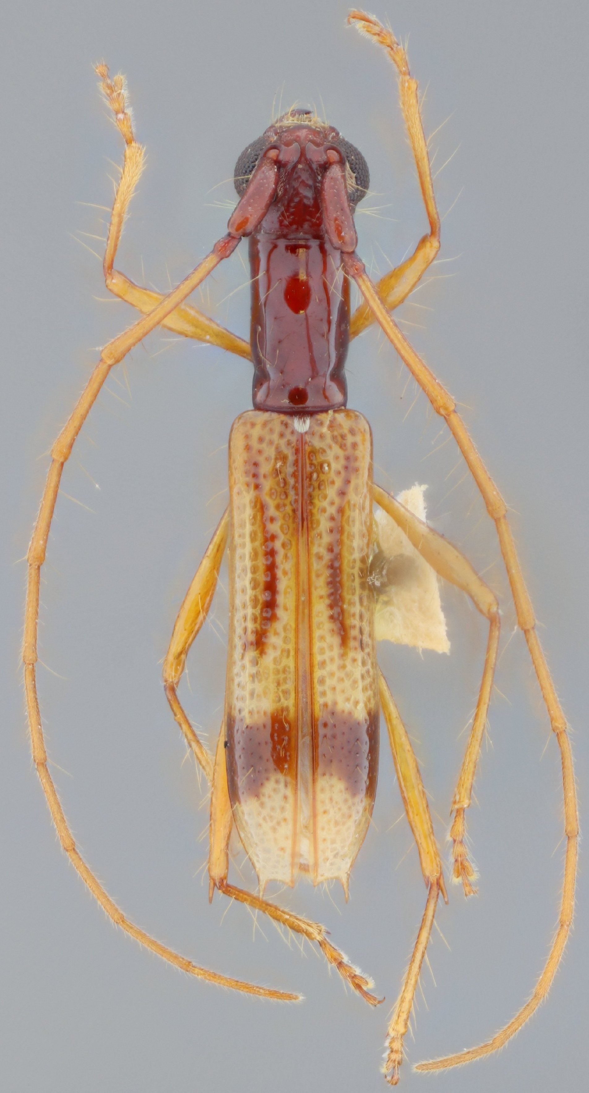
Sex: m Institution: MZSP Museu de Zoologia da Universidade de São Paulo, Brazil Photographer: Antonio Santos-Silva Collection Location: Nova Teutônia, Santa Catarina, Brazil 95985
|

Institution: UCB Essig Museum of Entomology, Berkeley, California, USA Photographer: Larry G. Bezark Determiner: Martins Collection Location: Sao Paolo, Brazil 8041
|

Photographer: Jim Wappes Collection Location: Bolivia 8042
|

Institution: UCB Essig Museum of Entomology, Berkeley, California, USA Photographer: Larry G. Bezark Determiner: Martins Collection Location: Nova Teutonia, Santa Catarina, Brazil 8043
|

Photographer: Larry G. Bezark Collection Location: Aregua Central, Paraguay 27325
|
_Gounelle_MZSP_Bahia_Brazil_SS.jpg)
Sex: f Institution: MZSP Museu de Zoologia da Universidade de São Paulo, Brazil Photographer: Antonio Santos-Silva Collection Location: Bahia, Brazil 70069
|
_Gounelle_MZSP_Minas_Gerais_Brazil_SS.jpg)
Sex: f Institution: MZSP Museu de Zoologia da Universidade de São Paulo, Brazil Photographer: Antonio Santos-Silva Collection Location: Minas Gerais, Brazil 70070
|
_Gounelle_MZSP_Minas_Gerais_Brazil_SS.jpg)
Sex: f Institution: MZSP Museu de Zoologia da Universidade de São Paulo, Brazil Photographer: Antonio Santos-Silva Collection Location: Minas Gerais, Brazil 70071
|
_Gounelle_MZSP_Rio_Grande_do_Sul_Brazil_SS.jpg)
Sex: f Institution: MZSP Museu de Zoologia da Universidade de São Paulo, Brazil Photographer: Antonio Santos-Silva Collection Location: Rio Grande do Sul, Brazil 70072
|
_Gounelle_MZSP_Sao_Paolo_Brazil_SS.jpg)
Sex: f Institution: MZSP Museu de Zoologia da Universidade de São Paulo, Brazil Photographer: Antonio Santos-Silva Collection Location: Sao Paolo, Brazil 70073
|

23464
|