_Fisher_Philippines_USNM.jpg)
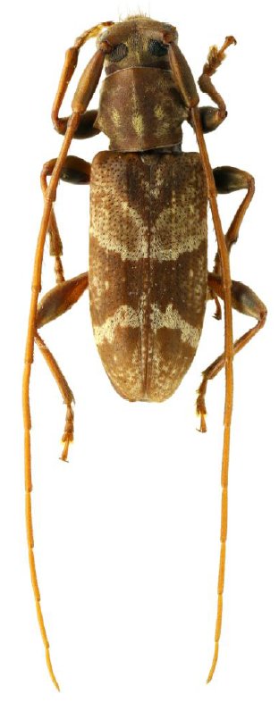
Specimen Type: holotype Sex: f Institution: NMNH United States National Museum, Washington, DC, USA Photographer: Steve Lingafelter Collection Location: Cuernos Mountains, Negros, Philippines 54013
|

Photographer: Arvids Barševskis Collection Location: Sierra Madre, Quirino, Luzon, Philippines 90381
|