New Search Family, Subfamily and Tribe List

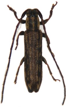
SubFamily Lamiinae

Tribe Desmiphorini
Mimozotale longipennis (Pic, 1927)

Photographer: Meiying Lin
42924

130425