_Audureau_MNHN_Reserva_Domitla_Nandaime_Granada_Nicaragua.jpg)
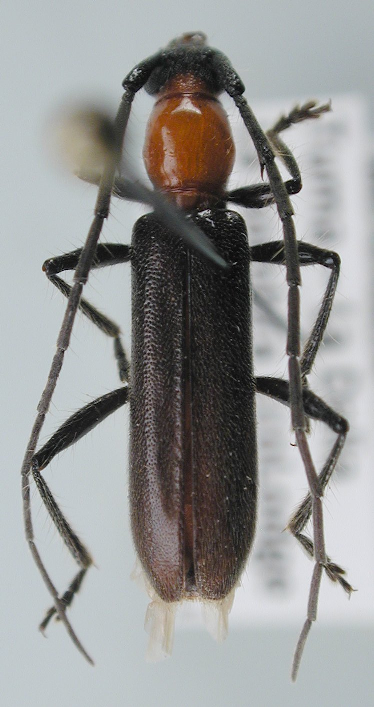
Specimen Type: holotype Sex: m Institution: MNHN Museum of Natural History Paris, France Collection Location: Reserva Domitla, Nandaime, Granada, Nicaragua 28442
|

Institution: LGBC Larry G. Bezark Collection, Sacramento, California, USA Photographer: Larry G. Bezark Collection Location: Tuma La Dalia, La Sombra Ecolosge, Matagalpa, Nicaragua 12491
|