_Chem_Hov_Apatzingan_Michoacan_Mex_LGB.jpg)
Specimen Type: holotype Sex: m Institution: EMEC Essig Museum of Entomology, Berkeley, CA, USA Photographer: Larry G. Bezark Collection Location: Apatzingan, Michoacan, Mexico 42177
|
_Chem_Hov_Apatzingan_Michoacan_Mex_LGB.jpg)
Specimen Type: holotype Sex: m Institution: EMEC Essig Museum of Entomology, Berkeley, CA, USA Photographer: Larry G. Bezark Collection Location: Apatzingan, Michoacan, Mexico 42178
|
_Chemsak_and_Hovore.jpg)
Specimen Type: paratype Sex: f Photographer: Bryan Eya Collection Location: Apatzingan, Michoacan, Mexico 28030
|
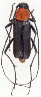
_Chemsak_and_Hovore.jpg)
Specimen Type: paratype Sex: m Photographer: Bryan Eya Collection Location: Apatzingan, Michoacan, Mexico 28031
|

Sex: m Photographer: Fred Skillman Collection Location: 37 km S Nueva Italia, Michoacan, Mexico 28034
|
|