New Search Family, Subfamily and Tribe List

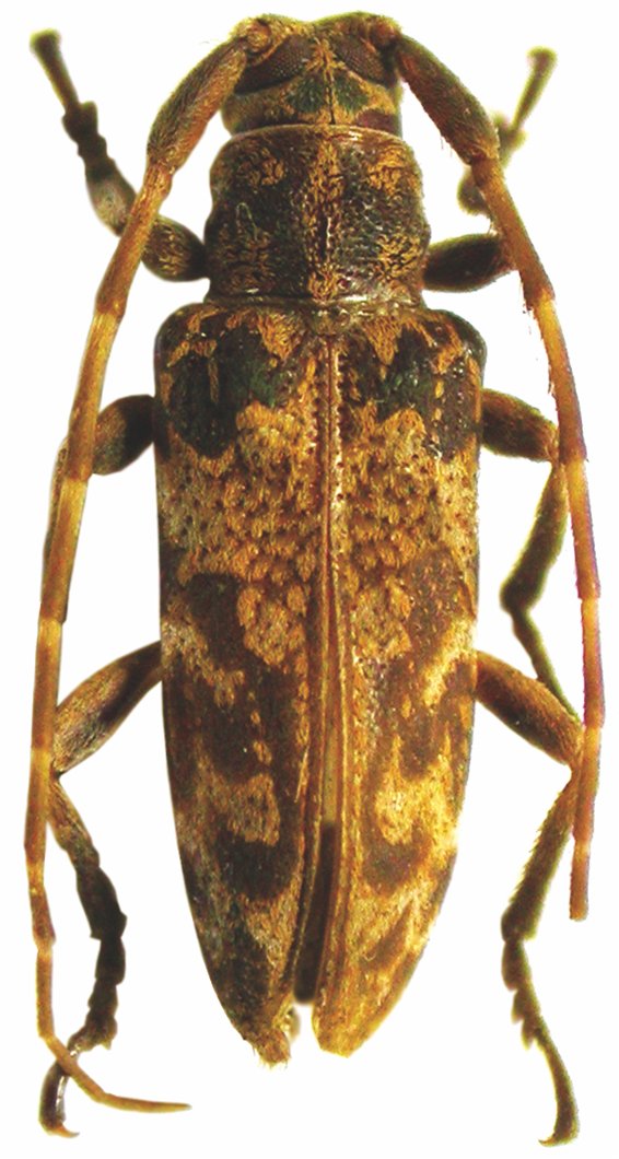
SubFamily Lamiinae

Tribe Apomecynini
Rosalba suiaba Martins & Galileo 2009

Specimen Type: holotype
Sex: m
Institution: HS Herbert Schmid Collection, Vienna, Austria
Photographer: Antonio Santos-Silva
Collection Location: Brazil
27927

130425