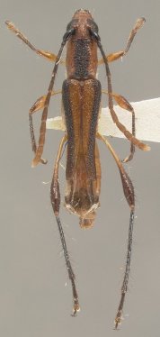
_Clarke_MNKM_5km_W_Buena_Vista_SC_Bolivia.jpg)
Specimen Type: holotype Sex: mf Institution: MNKM Museo de Hist Nat Noel Kempff Mercado Santa Cruz de la Sierra, Bolivia Collection Location: 5km W Buena Vista, Santa Cruz, Bolivia 27789
|
_Clarke_JW.jpg)
Specimen Type: paratype Sex: f Photographer: Jim Wappes Collection Location: 5 km W Buena Vista, Santa Cruz, Bolivia 42174
|