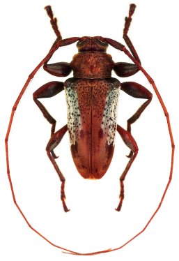
_Neouze_and_Tavakilian.jpg)
Specimen Type: holotype Sex: m Institution: MNHN Museum of Natural History Paris, France Photographer: Tavakilian, Coleopteres Collection Location: French Guiana 28507
|
 Neouze Tava Montagne des Chevaux, Roura, French Guiana Robin.jpg)
Sex: m Photographer: Frédéric Robin Collection Location: Montagne des Chevaux, French Guiana 79346
|