New Search Family, Subfamily and Tribe List

SubFamily Lamiinae

Tribe Desmiphorini
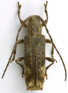
Mimectatina truncatipennis Pic 1944

Photographer: Shulin Yang, Cerambycoidea Forum
Collection Location: Guizhou, China
53633


Photographer: Shulin Yang, Cerambycoidea Forum
Collection Location: Guizhou, China
53634

130425