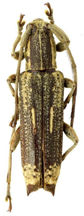
_Aurivillius_Philippines_USNM_SWL.jpg)
Specimen Type: holotype Institution: NMNH United States National Museum, Washington, DC, USA Photographer: Steve Lingafelter Collection Location: Philippines 53632
|
 Br de Jong RMNH Bonthain, S Sulawesi now Mimectatina sing AW.jpg)
Sybra apicesignata Breuning & de Jong Specimen Type: holotype Sex: f Institution: RMNH Rijksmuseum van Natuurlijke Historie, Leiden, Netherlands Photographer: Andreas Weigel Collection Location: Bonthain, S Sulawesi 75770
|
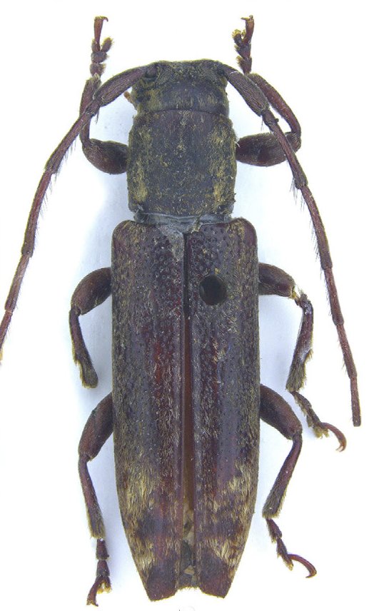
_Br_SNSD_Mt_Irid_Rizal_Luzon_Philippines_now_Mimectatina.jpg)
Sybra fuscoapicata Breuning Specimen Type: holotype Sex: m Institution: MTD Museum fur Tierkunde, Dresden, Germany Determiner: The Entomological Society of Latvia Collection Location: Mt Irid, Rizal, Luzon, Philippines 62758
|

Photographer: Arvids Barševskis Collection Location: San Francisco, Agusan del Sur, Mindanao, Philippines 90380
|
|