New Search Family, Subfamily and Tribe List

SubFamily Lamiinae

Tribe Acanthocinini
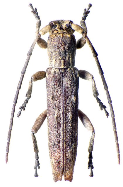
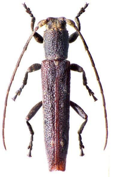
Micurus asperipennis Fairmaire 1896

Institution: LGBC Larry G. Bezark Collection, Sacramento, California, USA
Photographer: Larry G. Bezark
Determiner: Jerome Sudre
Collection Location: Madagascar
65217


Sex: m
Photographer: Ivo Jenis
Collection Location: Ambodinifody, Madagascar
89364


Sex: f
Photographer: Ivo Jenis
Collection Location: Ambodinifody, Madagascar
89365

130425