
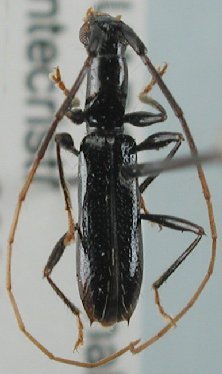
Specimen Type: holotype Sex: m Institution: MNHN Museum of Natural History Paris, France Collection Location: Rio Chimbo, Guyas, Ecuador 21346
|

Photographer: Josef Vlasak Determiner: Antonio Santos-Silva Collection Location: Arenillas, El Oro Province, Ecuador 90894
|