New Search Family, Subfamily and Tribe List

SubFamily Lamiinae

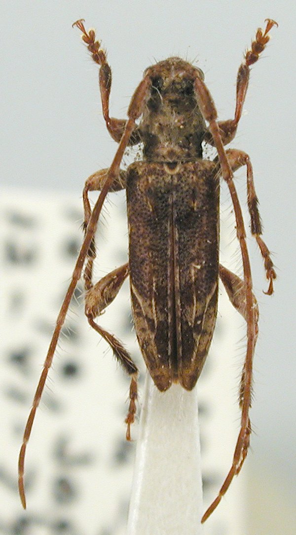
Tribe Desmiphorini
Graphidessa venata venata Bates 1884

Institution: JCPC Jim Cope Collection, San Jose, California, USA now at CSCA, Sacramento
Photographer: Larry G. Bezark
Determiner: Jim Cope
Collection Location: Kurosakitakao, Mikura-jima, Tokyo, Japan
97997

130425