New Search Family, Subfamily and Tribe List

SubFamily Lamiinae

Tribe Desmiphorini
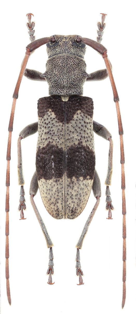
Falsorsidis griseofasciatus (Pic, 1926)

Sex: m
Institution: Chen Collection
Photographer: Wen-Xuan Bi
Collection Location: Luoyingou, Jinxiu, Guangxi, China
96565


Sex: f
Institution: Chen Collection
Photographer: Wen-Xuan Bi
Collection Location: Luoyingou, Jinxiu, Guangxi, China
96566

130425