_SS_and_Tav_MNRJ_Pedra_Azul_MG_Braz.jpg)
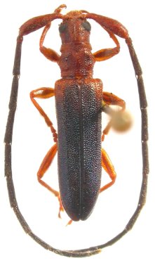
Specimen Type: holotype Sex: f Institution: MNRJ Museu Nacional Universidade do Rio Janeiro, Brazil Photographer: Larry G. Bezark Collection Location: Pedra Azul, Minas Gerais, Brazil 33624
|
_SS_and_Tav_MNRJ_Pedra_Azul_MG_Brazil.jpg)
Specimen Type: holotype Sex: f Institution: MNRJ Museu Nacional Universidade do Rio Janeiro, Brazil Photographer: Antonio Santos-Silva Collection Location: Pedra Azul, Minas Gerais, Brazil 27659
|