_NMNH_62kmSE_Ariquemes_Rondonia_Brazil_SS.jpg)
Specimen Type: holotype Sex: f Institution: USNM United States National Museum, Washington, DC, USA Photographer: Antonio Santos-Silva Collection Location: 62 km SE Ariquemes, Rondonia, Brazil 27651
|
_Bot_Almeida_DZUP_Sinop_Mato_Grosso_Brazil_Bot.jpg)
Distenia normae Botero & Almeida Specimen Type: holotype Sex: m Institution: DZUP Univ Federal do Paraná, Museu de Ent Pe. Jesus Santiago, Moure, Curitiba, Paraná, Brazil Photographer: Juan Pablo Botero Collection Location: Sinop, Mato Grosso, Brazil 68781
|
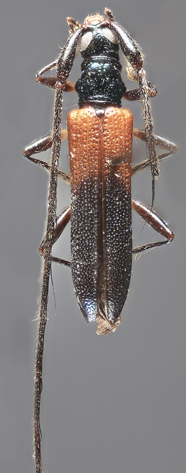
_Bot_Almeida_DZUP_Sinop_Mato_Grosso_Brazil_Bot.jpg)
Distenia normae Botero & Almeida Specimen Type: holotype Sex: m Institution: DZUP Univ Federal do Paraná, Museu de Ent Pe. Jesus Santiago, Moure, Curitiba, Paraná, Brazil Photographer: Juan Pablo Botero Collection Location: Sinop, Mato Grosso, Brazil 68782
|
_Bot_Almeida_DZUP_Sinop_Mato_Grosso_Brazil_Bot.jpg)
Distenia normae Botero & Almeida Specimen Type: holotype Sex: m Institution: DZUP Univ Federal do Paraná, Museu de Ent Pe. Jesus Santiago, Moure, Curitiba, Paraná, Brazil Photographer: Juan Pablo Botero Collection Location: Sinop, Mato Grosso, Brazil 68783
|
_Bot_Almeida_DZUP_Sinop_Mato_Grosso_Brazil_Bot.jpg)
Distenia normae Botero & Almeida Specimen Type: holotype Sex: m Institution: DZUP Univ Federal do Paraná, Museu de Ent Pe. Jesus Santiago, Moure, Curitiba, Paraná, Brazil Photographer: Juan Pablo Botero Collection Location: Sinop, Mato Grosso, Brazil 68784
|
|