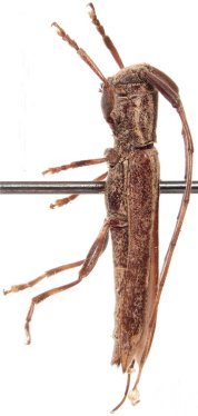
_Gressitt_CAS_7496_LGB.jpg)
Specimen Type: holotype Sex: m Institution: CAS California Academy of Sciences, San Francisco, CA, USA Photographer: Larry G. Bezark Collection Location: Tai-pin-ts'uen (Dwa-Bi), nr Loi Mother Mountain, Central Hainan, China 40562
|
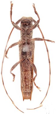
_Gressitt_CAS_Hainan_Mike_Nakahara_photo.jpg)
Specimen Type: holotype Sex: m Institution: CAS California Academy of Sciences, San Francisco, CA, USA Photographer: Mike Nakahara Collection Location: Tai-pin-ts'uen (Dwa-Bi), nr Loi Mother Mountain, Central Hainan, China 58698
|
_Gressitt_CAS_Hainan_Mike_Nakahara_photo.jpg)
Specimen Type: holotype Sex: m Institution: CAS California Academy of Sciences, San Francisco, CA, USA Photographer: Mike Nakahara Collection Location: Tai-pin-ts'uen (Dwa-Bi), nr Loi Mother Mountain, Central Hainan, China 58699
|
_Gressitt_CAS_Hainan_Mike_Nakahara_photo.jpg)
Specimen Type: holotype Sex: m Institution: CAS California Academy of Sciences, San Francisco, CA, USA Photographer: Mike Nakahara Collection Location: Tai-pin-ts'uen (Dwa-Bi), nr Loi Mother Mountain, Central Hainan, China 58700
|
_Gressitt_CAS_Hainan_Mike_Nakahara_photo.jpg)
Specimen Type: holotype Sex: m Institution: CAS California Academy of Sciences, San Francisco, CA, USA Photographer: Mike Nakahara Collection Location: Tai-pin-ts'uen (Dwa-Bi), nr Loi Mother Mountain, Central Hainan, China 58701
|
_Gressitt_CAS_Hainan_Mike_Nakahara_photo.jpg)
Specimen Type: holotype Sex: m Institution: CAS California Academy of Sciences, San Francisco, CA, USA Photographer: Mike Nakahara Collection Location: Tai-pin-ts'uen (Dwa-Bi), nr Loi Mother Mountain, Central Hainan, China 58702
|
|