_Breuning_MNHN_Xavier_now_Zotalemimon.jpg)
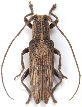
Diboma flaviloneatum Breuning Specimen Type: holotype Sex: f Institution: MNHN Museum of Natural History Paris, France Photographer: © MNHN, Paris, photographie X. Gouverneur Collection Location: Laos 49233
|

Institution: LGBC Larry G. Bezark Collection, Sacramento, California, USA Photographer: Larry G. Bezark Determiner: Cerambycoidea Forum, Xavier Gouverneur Collection Location: Ba Be, Bac Kan, Vietnam 41237
|