New Search Family, Subfamily and Tribe List

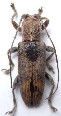
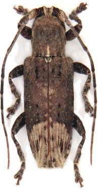
SubFamily Lamiinae

Tribe Desmiphorini
Zotalemimon ciliatum (Gressitt, 1942)

Photographer: Meiying Lin
43385


Photographer: Xavier Gouverneur, Cerambycoidea Forum
Collection Location: Hua Phan, NE Laos
49232

130425