New Search Family, Subfamily and Tribe List

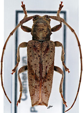
SubFamily Lamiinae

Tribe Desmiphorini
Diadelia truncata Aurivillius 1914

Photographer: JP Roguet, https://lamiinae.org
Collection Location: Central Province, Cameroon
37325

130425