_Bates_BMNH_Taboga_Is_Panama_LGB.jpg)
Specimen Type: holotype Sex: f Institution: BMNH British Museum Natural History, London, UK Photographer: Larry G. Bezark Collection Location: Taboga Island, Panama 46821
|
_Linsley_Panama_USNM_SWL_=_Gnomidolon_insulicola_Bates.jpg)
Octoplon piceicollis Linsley Specimen Type: holotype Sex: f Institution: NMNH United States National Museum, Washington, DC, USA Photographer: Steve Lingafelter Collection Location: Paraíso, Canal Zone, Panama 10913
|
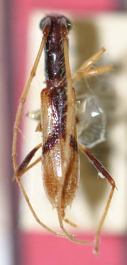
_Martins_MNRJ_SWL_=_Gnomidolon_insulicola_Bates.jpg)
Gnomidolon seabrai Martins Specimen Type: holotype Sex: m Institution: MNRJ Museu Nacional Universidade do Rio Janeiro, Brazil Photographer: Steve Lingafelter Collection Location: Maracay, Aragua, Venezuela 8034
|

Photographer: John Chemsak 16683
|

Photographer: Larry G. Bezark Determiner: Martins Collection Location: Bol, Venezuela 24639
|

Photographer: Larry G. Bezark Determiner: Martins Collection Location: Bol, Venezuela 24640
|

Institution: BCA Biologia Centrali Americana 8007
|

Institution: UCB Essig Museum of Entomology, Berkeley, California, USA Photographer: Larry G. Bezark Determiner: Giesbert Collection Location: Venezuela 8008
|
|