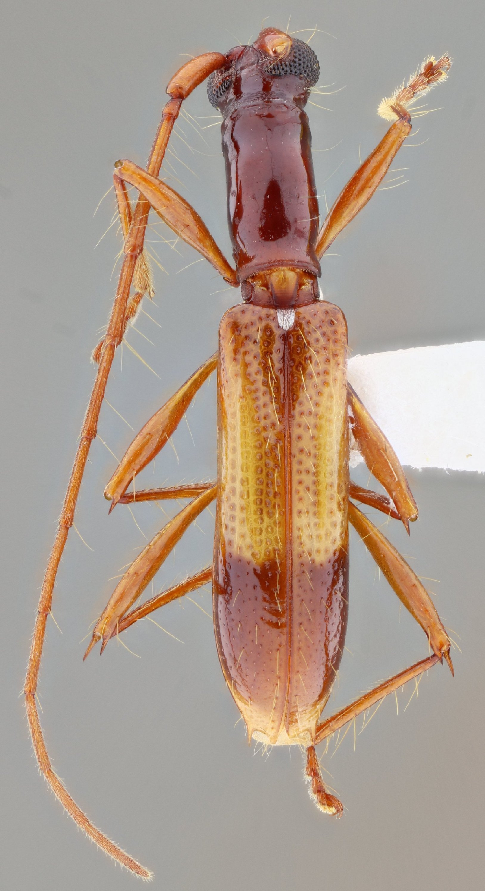
_Napp_and_Mart_IZFAM_MZSP_Chichiriviche_Petaquire_DF_VZ.jpg)
Specimen Type: holotype Sex: m Institution: IZAFM Instituto de Zoología Agrícola, Faculdad de Agronomía de Maracay, Venezuela Photographer: Larry G. Bezark Collection Location: Chichiriviche, Distrito Federal, Venezuela 33443
|
 Napp Mart MZSP Chichiriviche, Distrito Federal, Venezuela.jpg)
Specimen Type: paratype Sex: f Institution: MZSP Museu de Zoologia da Universidade de São Paulo, Brazil Photographer: Antonio Santos-Silva Collection Location: Chichiriviche, Distrito Federal, Venezuela 22765
|
 Napp Mart St Augustine Abbey, Tunapuna-Piarco, Trinidad, Trinidad and Tobago SS.jpg)
Sex: f Institution: MZSP Museu de Zoologia da Universidade de São Paulo, Brazil Photographer: Antonio Santos-Silva Collection Location: St Augustine Abbey, Tunapuna-Piarco, Trinidad, Trinidad and Tobago 21344
|
|