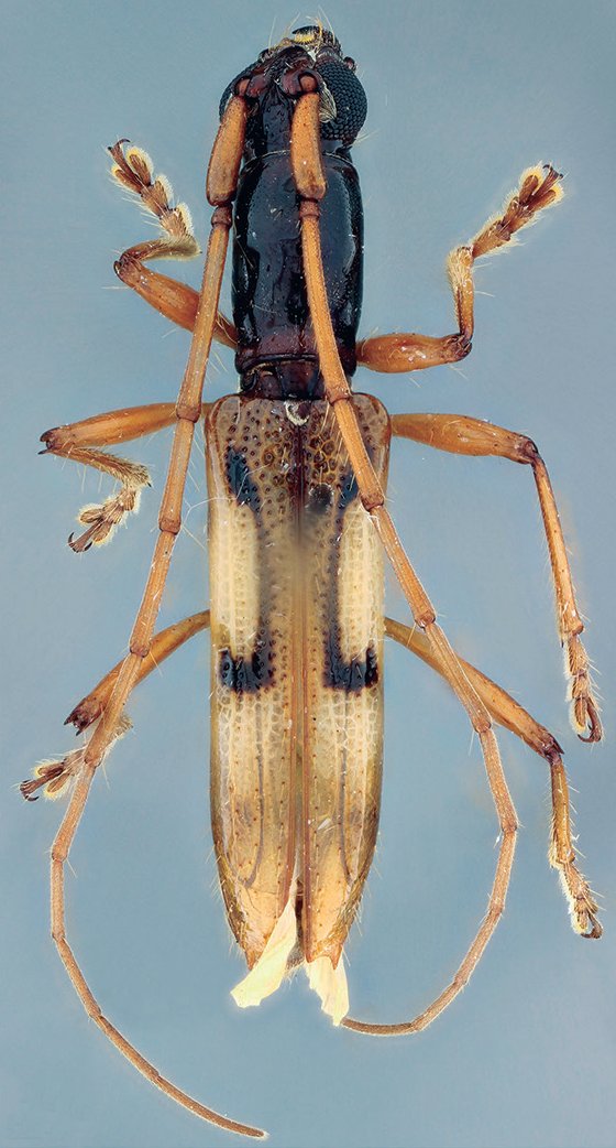
_Linsley_Panama_USNM_SWL.jpg)
Specimen Type: holotype Sex: f Institution: NMNH United States National Museum, Washington, DC, USA Photographer: Steve Lingafelter Collection Location: Penonomé, Cocle, Panama 8003
|

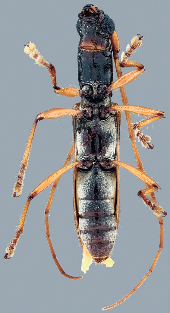
Photographer: John Chemsak 16682
|
_Linsley_Usiacuri_Res_Campesina_Atlantico_Colombia_Garcia.jpg)
Sex: m Photographer: Kim Garcia Collection Location: Usiacuri, Reserva Campesina, Atlantico, Colombia 69442
|
_Linsley_Usiacuri_Res_Campesina_Atlantico_Colombia_Garcia.jpg)
Sex: m Photographer: Kim Garcia Collection Location: Usiacuri, Reserva Campesina, Atlantico, Colombia 69443
|
_Linsley_Usiacuri_Res_Campesina_Atlantico_Colombia_Garcia.jpg)
Sex: m Photographer: Kim Garcia Collection Location: Usiacuri, Reserva Campesina, Atlantico, Colombia 69444
|
_Linsley_Usiacuri_Res_Campesina_Atlantico_Colombia_Garcia.jpg)
Sex: m Photographer: Kim Garcia Collection Location: Usiacuri, Reserva Campesina, Atlantico, Colombia 69445
|
_Linsley_Garcia.jpg)
Sex: f Photographer: Kim Garcia Collection Location: Usiacuri, Reserva Campesina, Atlantico, Colombia 69446
|
_Linsley_Garcia.jpg)
Sex: f Photographer: Kim Garcia Collection Location: Usiacuri, Reserva Campesina, Atlantico, Colombia 69447
|
|