New Search Family, Subfamily and Tribe List

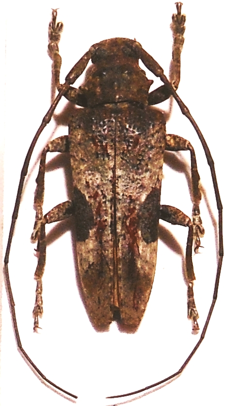
SubFamily Lamiinae

Tribe Desmiphorini
Diadelia biplagiata Waterhouse 1882

Determiner: Faune de Madagascar
Collection Location: Madagascar
37326


Photographer: Robert Vigneault, Cerambycoidea Forum
Determiner: Jerome Sudre, Cerambycoidea Forum
Collection Location: Anosibe Ifody, Madagascar
31717

130425