New Search Family, Subfamily and Tribe List

SubFamily Lamiinae

Tribe Desmiphorini
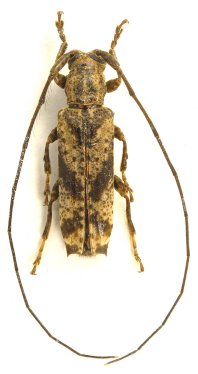
Diadelia intermicollis Breuning 1939

Photographer: Patrick Bonneau, Cerambycoidea Forum
Collection Location: Madagascar
49227

130425