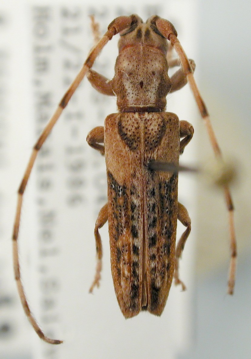
 20 km S Sepophe, Botswana det Teocchi JCPC LGB.jpg)
Institution: JCPC Jim Cope Collection, San Jose, California, USA now at CSCA, Sacramento Photographer: Larry G. Bezark Determiner: Pierre Teocchi Collection Location: 20 km S Sepophe, Botswana 97467
|
_Thomas_Baines_Res_RSA_Maquart.jpg)
Photographer: Pierre-Olivier Maquart, Cerambycoidea Forum Collection Location: Thomas Baines Reserve, South Africa 61133
|