_Hoskovec.jpg)
Sex: mf Photographer: Michal Hoskovec 37289
|

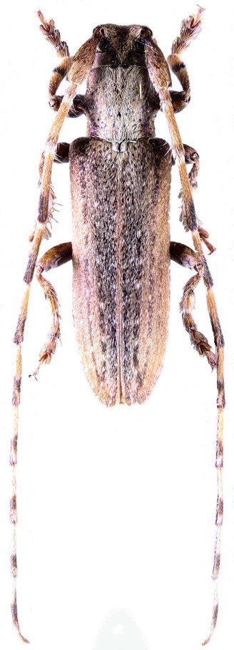
Collection Location: Agadir, Morocco 37298
|

Photographer: Michal Hoskovec 37299
|
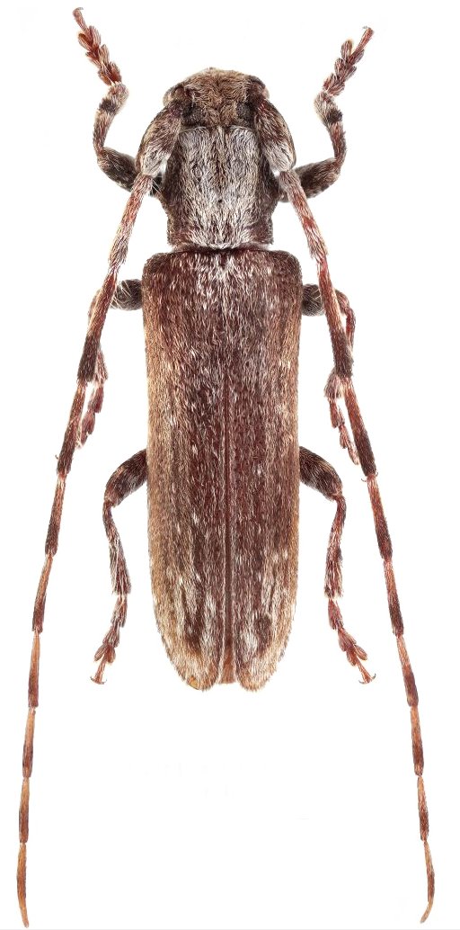
_Alma_Morocco_Trocoli_coll.jpg)
Institution: Trocoli Collection Photographer: Sergei Troccoli Collection Location: Alma, Morocco 75124
|
 Spain Boza Sedlacek.jpg)
Sex: m Photographer: Boza & Sedlacek Collection Location: Spain 75731
|