 Sama El Hierro, El Julan, Canary Islands JCPC LGB.jpg)
Specimen Type: paratype Sex: m Institution: JCPC Jim Cope Collection, San Jose, California, USA now at CSCA, Sacramento Photographer: Larry G. Bezark Collection Location: El Hierro, El Julan, Canary Islands 97465
|
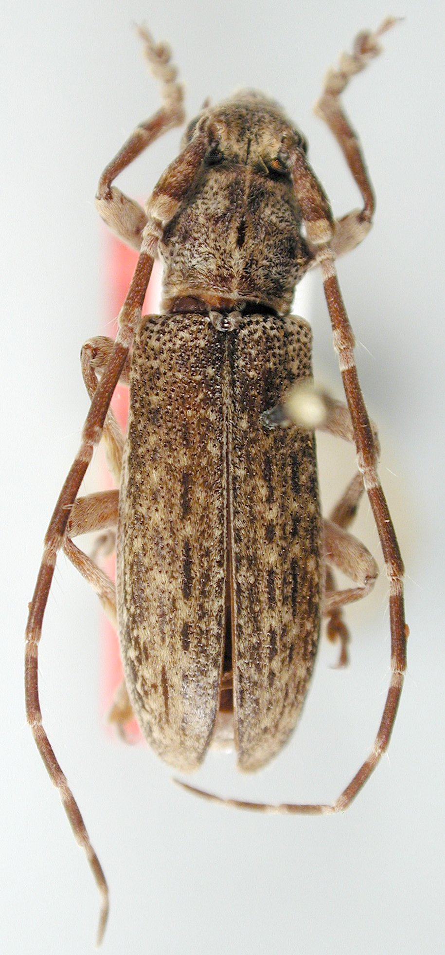
 Sama El Hierro, El Julan, Canary Islands JCPC LGB.jpg)
Specimen Type: paratype Sex: f Institution: JCPC Jim Cope Collection, San Jose, California, USA now at CSCA, Sacramento Photographer: Larry G. Bezark Collection Location: El Hierro, El Julan, Canary Islands 97466
|