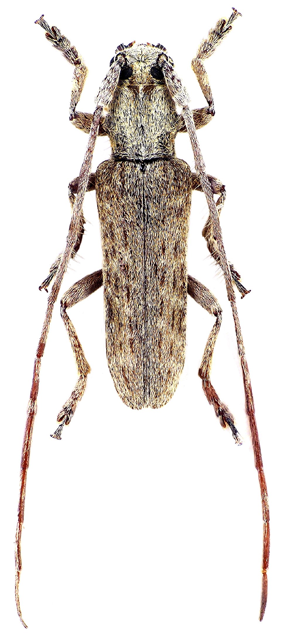
 Sama fra Alajero e Santiago, Gomeria, Canary Islands JCPC LGB.jpg)
Specimen Type: paratype Institution: JCPC Jim Cope Collection, San Jose, California, USA now at CSCA, Sacramento Photographer: Larry G. Bezark Collection Location: fra Alajero e Santiago, Gomeria, Canary Islands 97464
|

Photographer: David Navratil Collection Location: Gula, Gomer, Canary Islands 37282
|