New Search Family, Subfamily and Tribe List

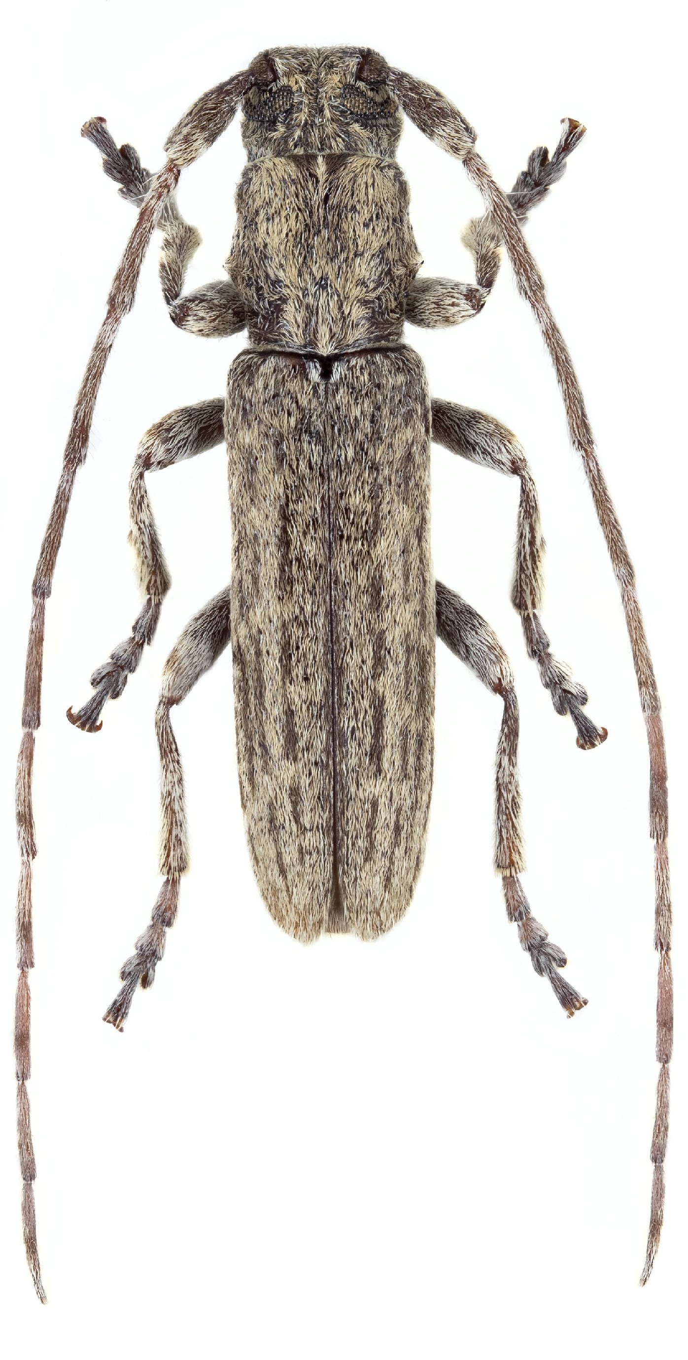
SubFamily Lamiinae

Tribe Desmiphorini
Deroplia lorenzoi García-Becerra 2002

Photographer: Navratil & Hoskovec
Collection Location: 6 km SW Puntagorda, La Palma, Canary Islands, Spain
81337


Photographer: Rafael Garcia-Becerra
Collection Location: La Palma Island, Canary Islands
77643

130425