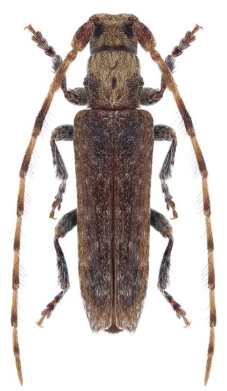
_Kziv_River_Upper_Galilee_Israel_Slutsky.jpg)
Photographer: Aleksandr Slutsky Collection Location: Kziv River, Upper Galilee, Israel 75369
|
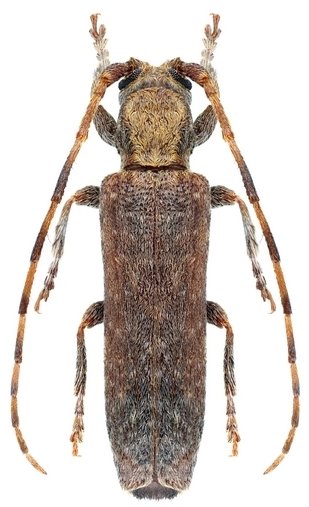
_(Aragona)_Neve_Ziv_Israel_Slutsky.jpg)
Sex: f Photographer: Aleksandr Slutsky Collection Location: Neve Ziv, Israel 75370
|

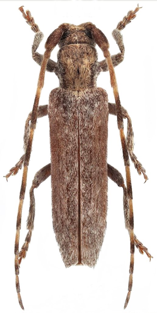
Photographer: David Navratil Collection Location: Plastovce, South Slovakia 81336
|
 Slovakia Boza Sedlacek.jpg)
Sex: f Photographer: Boza & Sedlacek Collection Location: Slovakia 37277
|
 Slovakia Boza Sedlacek.jpg)
Sex: m Photographer: Boza & Sedlacek Collection Location: Slovakia 37278
|
_Vives_2000.jpg)
Photographer: Eduard Vives 37279
|