New Search Family, Subfamily and Tribe List

SubFamily Cerambycinae

Tribe Hexoplonini
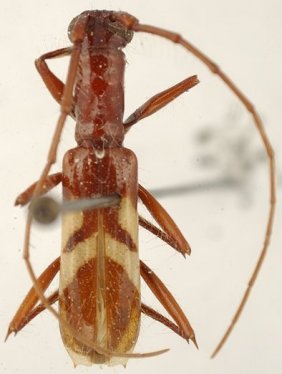
Gnomidolon glabratum Martins 1962

Specimen Type: holotype
Sex: f
Institution: AMNH American Museum of Natural History, New York, NY, USA
Collection Location: Rio Opon, Meta, Colombia
27762


23456


21342

130425