
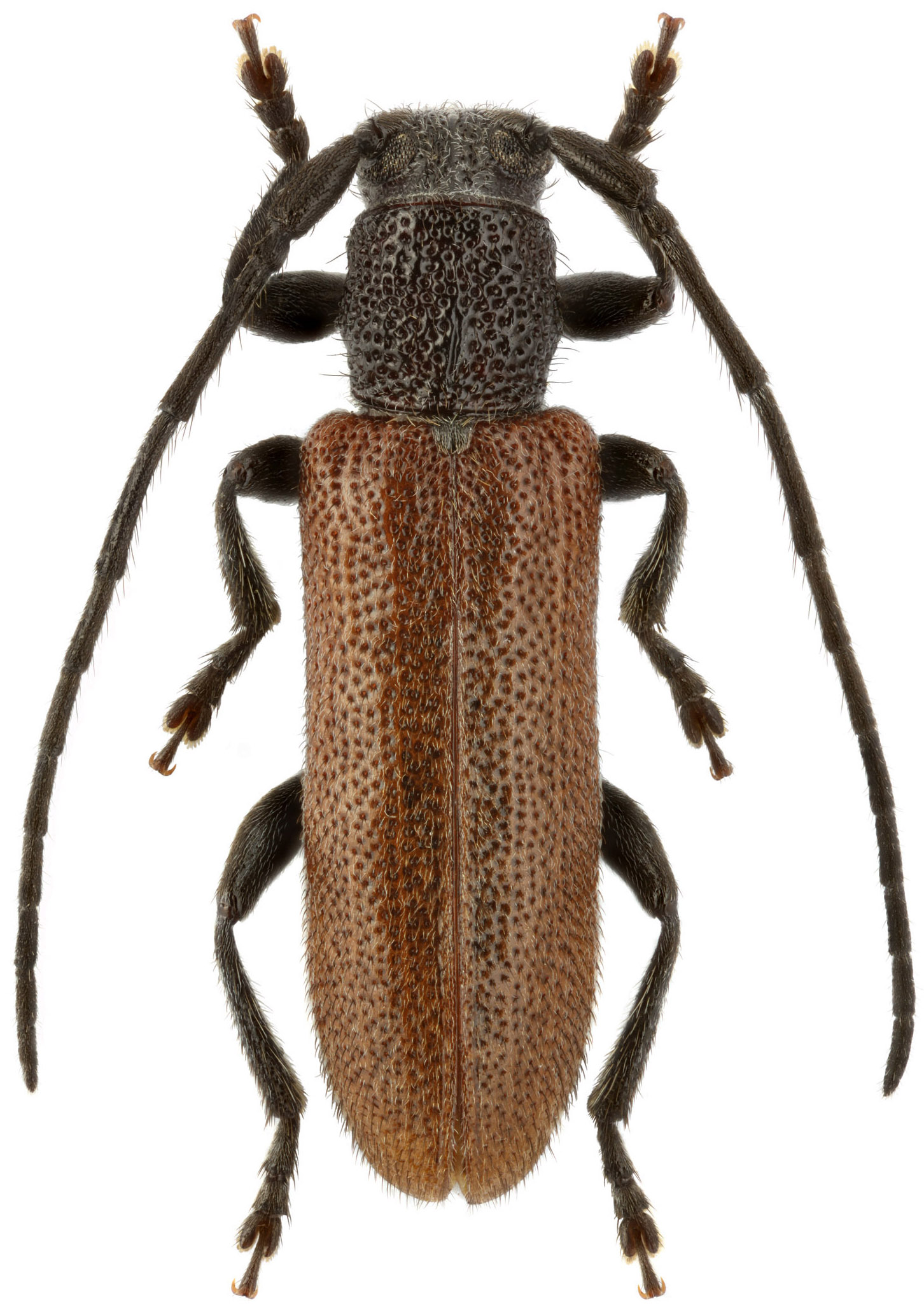
Photographer: O. E. Berlov Collection Location: Kamen' Rybolov Khanka Lake 31713
|
_Beckm_Kamen_Rybolov_Khanka_Lake_Berlov.jpg)
Photographer: O. E. Berlov Collection Location: Kamen' Rybolov Khanka Lake 31714
|

Photographer: Maxim E. Smirnov Collection Location: vic Lazo Village, Lazovsky District, Primorsky krai, Russian Far East 81311
|
|