_Gounelle_MNHN_FTH_=_Gnomidolon.jpg)
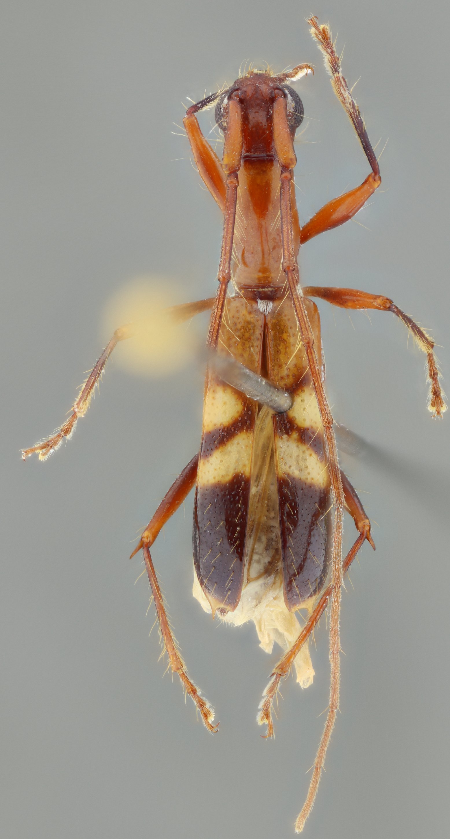
Hexoplon cruciferum Gounelle Specimen Type: holotype Sex: f Institution: MNHN Museum of Natural History Paris, France Collection Location: Jatai, Goias, Brazil 16821
|
 (Goun) MEFEIS Nova Porteirinha Khaya Woods, Minas Gerais, Brazil SS.jpg)
Sex: f Institution: MEFE Museu de Ent da Faculdade de Engenharia de Ilha Solteira, Univ Estadual, Sao Paolo, Brazil Photographer: Antonio Santos-Silva Collection Location: Nova Porteirinha Khaya Woods, Minas Gerais, Brazil 80992
|
.jpg)
Institution: CAS California Academy of Sciences, San Francisco, CA, USA Photographer: Larry G. Bezark 7994
|
|