New Search Family, Subfamily and Tribe List

SubFamily Cerambycinae

Tribe Hexoplonini
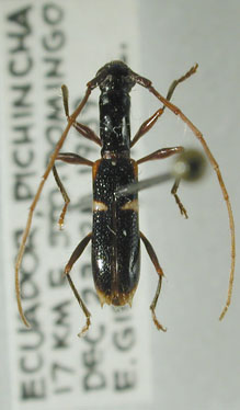
Gnomidolon cingillum Martins 1967

Institution: EMG Ed Giesbert Collection (now at FSCA)
Photographer: Larry G. Bezark
Collection Location: Pichincha, Ecuador
7988

130425