New Search Family, Subfamily and Tribe List

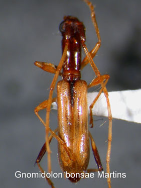
SubFamily Cerambycinae

Tribe Hexoplonini
Gnomidolon bonsae Martins 1967

Sex: m
24294


Photographer: Jim Wappes
Collection Location: Bolivia
7987

130425