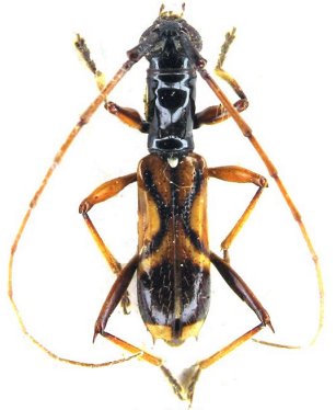
_White_BMNH_Tapajos_Para_Braz_nowGnomidolon_LGB.jpg)
Ibidion biarcuatum White Specimen Type: holotype Sex: m Institution: BMNH British Museum Natural History, London, UK Photographer: Larry G. Bezark Collection Location: Tapajos, Para, Brazil 46884
|
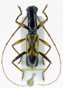
_Martins_MNRJ_SWL_=_Gnomidolon_biarcuatum_(White).jpg)
Gnomidolon excelsum Martins Specimen Type: holotype Sex: f Institution: MNRJ Museu Nacional Universidade do Rio Janeiro, Brazil Photographer: Steve Lingafelter Collection Location: Manaus, Amazonas, Brazil 7996
|
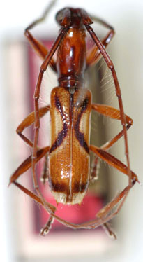
_Faure_French_Guiana.jpg)
Photographer: Denis Faure Collection Location: French Guiana 21921
|
_Brasil_(RO)_Det_Santos-Silva_LGB.jpg)
Photographer: Larry G. Bezark Determiner: Santos-Silva Collection Location: Rondonia, Brazil 24637
|
_Brasil_(RO)_Det_Santos-Silva_LGB.jpg)
Photographer: Larry G. Bezark Determiner: Santos-Silva Collection Location: Rondonia, Brazil 24638
|
.jpg)
Determiner: Longicornes du Guyane ORSTOM 7986
|

Photographer: Jean-Louis Giuglaris Collection Location: Belizon, French Guiana 28777
|
_Martins_plate_Arq_de_Zoo.jpg)
23452
|