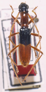
_Martins_MNRJ_SWL.jpg)
Specimen Type: holotype Sex: f Institution: MNRJ Museu Nacional Universidade do Rio Janeiro, Brazil Photographer: Steve Lingafelter Collection Location: Hacienda Argentina, La Libertad, El Salvador 7984
|
_Martins_JAC.jpg)
Specimen Type: paratype Photographer: John Chemsak 16678
|
.jpg)
Institution: FTH Frank T. Hovore collection (now at California Academy of Sciences) Photographer: Larry G. Bezark Collection Location: La Pacifica, Puntarenas, Costa Rica 28158
|
.jpg)
Institution: FTH Frank T. Hovore collection (now at California Academy of Sciences) Photographer: Larry G. Bezark Collection Location: La Pacifica, Puntarenas, Costa Rica 28159
|

Photographer: Larry G. Bezark 7985
|
|