
Photographer: Marcela Monne Collection Location: Itatiaia National Park, Rio de Janeiro, Brazil 27926
|

23737
|
_Mart_Monne_Ceu_Azul_Parana_Brazil_Rafael_Barros_pic.jpg)
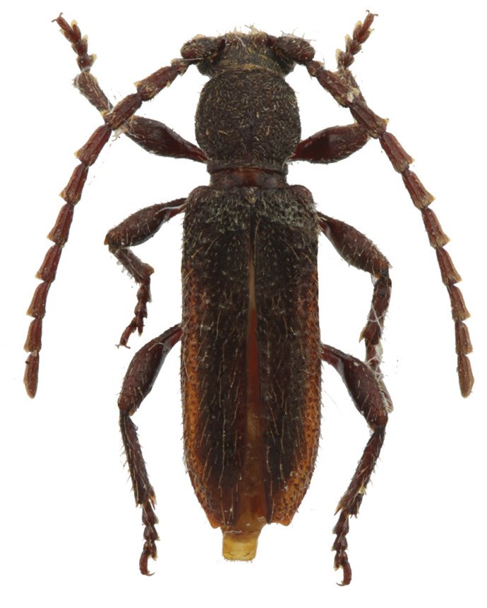
Sex: f Institution: MZUEL Museum of Zoology, State University of Londrina, Brazil Photographer: Rafael Barros Collection Location: Céu Azul, Paraná, Brazil 74417
|
|