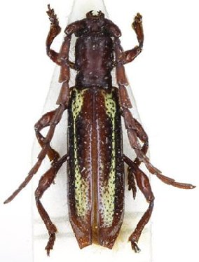
_Martins_MZSP_SWL.jpg)
Specimen Type: holotype Sex: f Institution: MZSP Museu de Zoologia da Universidade de São Paulo, Brazil Photographer: Steve Lingafelter Collection Location: 12°49' S, 51°46' W (gallery-forest), Mato Grosso, Brazil 12175
|
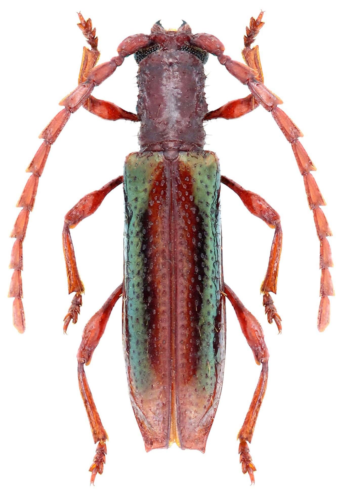
 Martins Matoury, French Guiana Robin.jpg)
Sex: f Photographer: Frédéric Robin Collection Location: Matoury, French Guiana 80540
|