New Search Family, Subfamily and Tribe List

SubFamily Cerambycinae

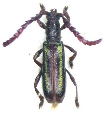
Tribe Piezocerini Piezocerina
Piezocera aenea (Bates, 1867)

Photographer: Jean-Louis Giuglaris
Collection Location: Belizon, French Guiana
29242


23645

130425