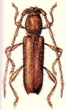
 Corrego do Ita, Espirito Santo, Brazil det Napp JCPC LGB.jpg)
Institution: JCPC Jim Cope Collection, San Jose, California, USA now at CSCA, Sacramento Photographer: Larry G. Bezark Determiner: Dilma Napp Collection Location: Corrego do Ita, Espirito Santo, Brazil 99456
|
 Corrego do Ita, Espirito Santo, Brazil det Napp JCPC LGB.jpg)
Institution: JCPC Jim Cope Collection, San Jose, California, USA now at CSCA, Sacramento Photographer: Larry G. Bezark Determiner: Dilma Napp Collection Location: Corrego do Ita, Espirito Santo, Brazil 99457
|
 Corrego do Ita, Espirito Santo, Brazil det Napp JCPC LGB.jpg)
Institution: JCPC Jim Cope Collection, San Jose, California, USA now at CSCA, Sacramento Photographer: Larry G. Bezark Determiner: Dilma Napp Collection Location: Corrego do Ita, Espirito Santo, Brazil 99458
|
_Martins_Arq_de_Zoo.jpg)
23613
|
|