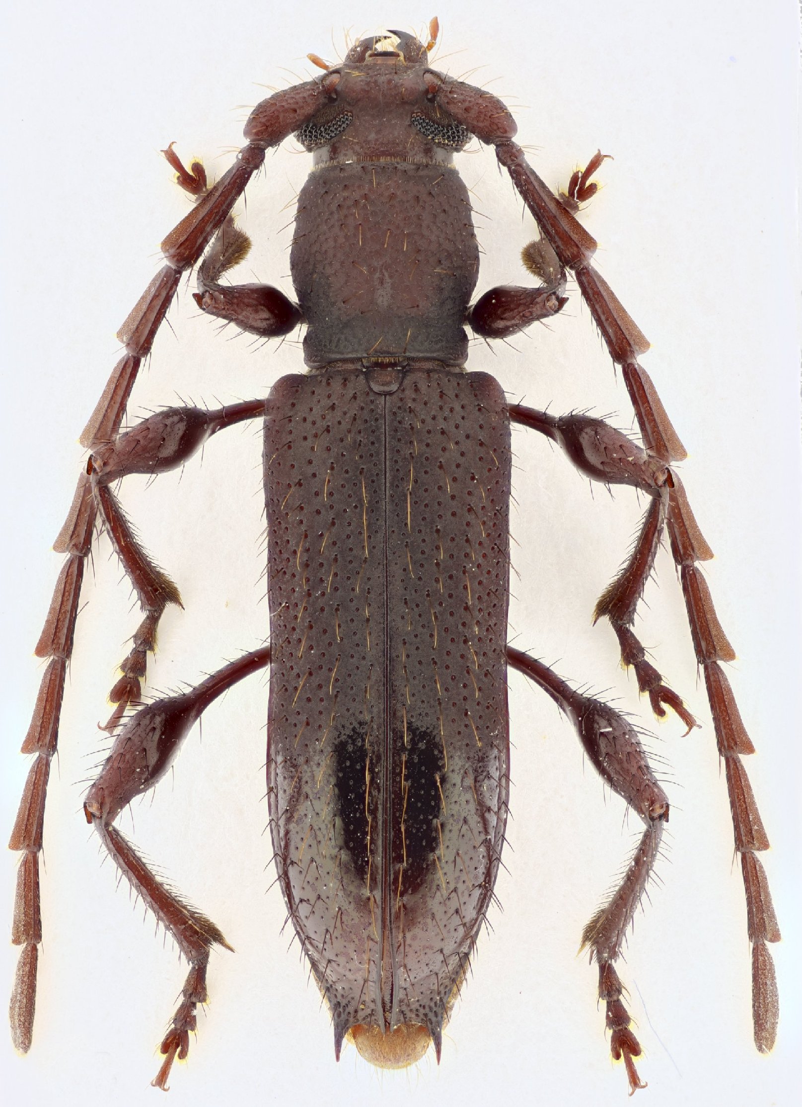
_Martins_MNRJ_SWL.jpg)
Specimen Type: holotype Sex: m Institution: MNRJ Museu Nacional Universidade do Rio Janeiro, Brazil Photographer: Steve Lingafelter Collection Location: Rio Branco, Acre, Brazil 8082
|

Institution: Vlasak Collection Photographer: Josef Vlasak Collection Location: Zamora, Zamora Chinchipe, Ecuador 100039
|