 Olivier RSME America Meridionale now Orthomeg cinnam Moure.jpg)
Prionus corticinus Olivier Specimen Type: syntype Institution: MNHN Museum of Natural History Paris, France Photographer: JS Moure Collection Location: America Meridionali 101975
|
_(m)_Fabricius_ZMUC_Tav_=_Callipogon_cinnamomeum_(Linnaeus).jpg)
Prionus mucronatus Fabricius Specimen Type: holotype Sex: m Institution: ZMUC University of Copenhagen, Zoological Museum, København, Denmark Photographer: Gerard Tavakilian 18314
|
 Dalman NHRS now Ortho cinn Moure.jpg)
Prionus spadiceus Dalman Specimen Type: holotype Institution: NHRS Naturhistoriska Riksmuseet, Stockholm, Sweden Photographer: JS Moure 101984
|

Prionus cinnamomeus Linnaeus Institution: HMUG United Kingdom, Glasgow, Glasgow University, Hunterian Museum 27918
|
 (LInn) Montagne de Kaw, French Guiana Robin.jpg)
Sex: m Photographer: Frédéric Robin Collection Location: Montagne de Kaw, French Guiana 81479
|
 (LInn) Montagne de Kaw, French Guiana Robin.jpg)
Sex: f Photographer: Frédéric Robin Collection Location: Montagne de Kaw, French Guiana 81480
|
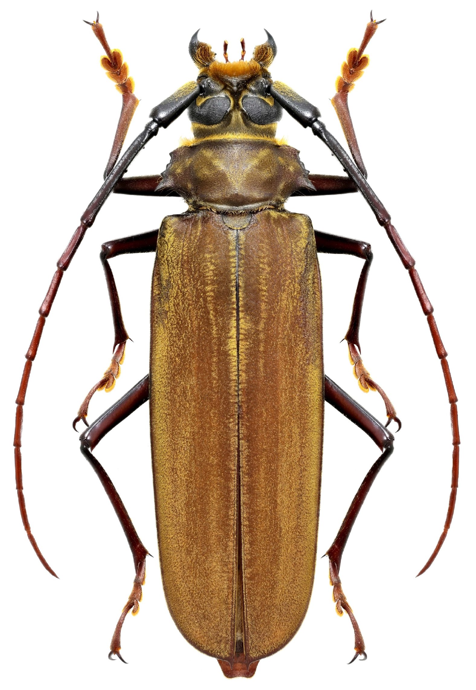
 UZIU now Orthomegas Hans Mejlon.jpg)
Cerambyx cinnamomeus Linnaeus Institution: UZIU Uppsala University, Museum of Evolution, Uppsala, Sweden
Zoology section, Uppsala, Sweden Photographer: Hans Mejlon 81730
|
_Bolivia_Wappes_Photo.jpg)
Photographer: Jim Wappes Collection Location: Bolivia 5284
|
_CAS.jpg)
Institution: CAS California Academy of Sciences, San Francisco, CA, USA Photographer: Larry G. Bezark 5285
|
_Lingafelter_06.jpg)
Photographer: Steve Lingafelter 21065
|
_cinnamomeum_(f)_(Linnaeus)_San_Martin_Peru.jpg)
Sex: f Collection Location: San Martin, Peru 22531
|
_cinnamomeum_(Linnaeus)_Faure_French_Guiana.jpg)
Photographer: Denis Faure Collection Location: French Guiana 21679
|
_Perger.jpg)
Photographer: Robert Perger 27153
|
_(Linnaeus)_Aud.jpg)
Sex: m 32997
|
_(Linnaeus)_Aud.jpg)
Sex: m 32998
|
_(Linnaeus)_Aud.jpg)
Sex: m 32999
|
_(Linn)_NP_Lord.jpg)
Sex: m Photographer: Nathan P. Lord 42397
|
_Belizon_Fr_Guiana_Giuglaris.jpg)
Photographer: Jean-Louis Giuglaris Collection Location: Belizon, French Guiana 28621
|