_Gounelle_BMNH_Jatai_Goias_Brazil_SS.jpg)
Haruspex ruficauda Gounelle Specimen Type: paralectotype Sex: f Institution: BMNH British Museum Natural History, London, UK Photographer: Antonio Santos-Silva Collection Location: Jatai, Goias, Brazil 68616
|
_Gounelle_BMNH_Jatai_Goias_Braz_nowGorybia_LGB.jpg)
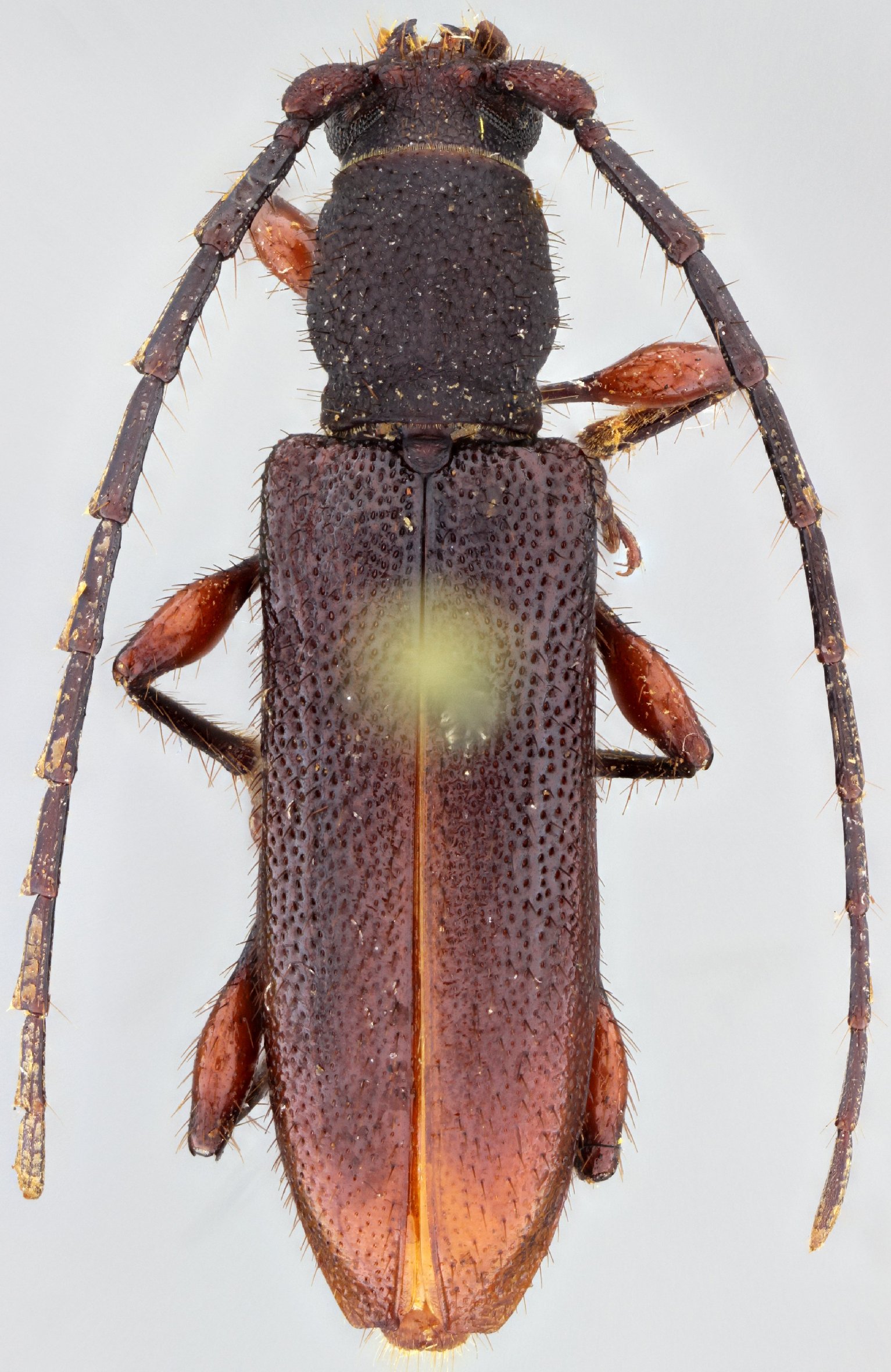
Haruspex ruficauda Gounelle Specimen Type: syntype Institution: BMNH British Museum Natural History, London, UK Photographer: Larry G. Bezark Collection Location: Jatai, Goias, Brazil 46843
|
_(m)_Gounelle_MNHN_Tav_Jatahy_Brazil_=_Gorybia_ruficauda.jpg)
Haruspex ruficauda Gounelle Specimen Type: lectotype Sex: m Institution: BMNH British Museum Natural History, London, UK Photographer: Gerard Tavakilian Collection Location: Jatai, Goias, Brazil 16736
|
_Martins_Arq_de_Zoo.jpg)
21939
|
|